Central School

Front entrance to Central High School.

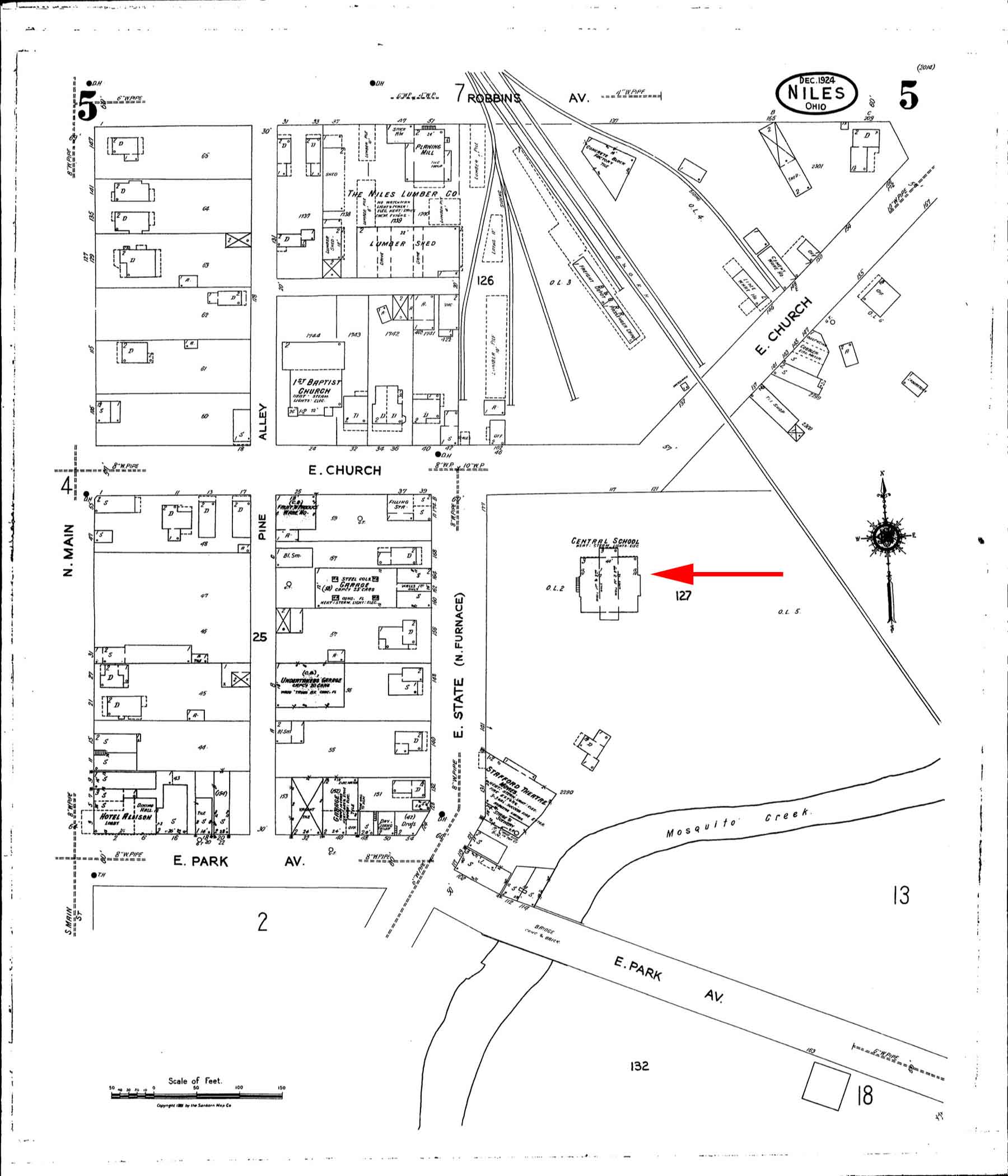
Location of Central High School on 1924 map.

Front view of Central School showing front entrance, brickwork and steeple.

Detail of the Central School bell with

1908 study hall at Old Central School.

1908 Central School graduation picture. This was the largest class to graduate since the school opened in 1871.

Central High School JuniorClass of 1903.

1917-Central High School girls.
