Penn-Ohio Car Barn

View of the Interurban streetcar barns and Heaton’s dam across the Mosquito Creek.

Larger car barn with brick construction.

View in the front of the Penn–Ohio car barn, ca1920s.

Waiting Station for the Mahoning Valley Railway Company.

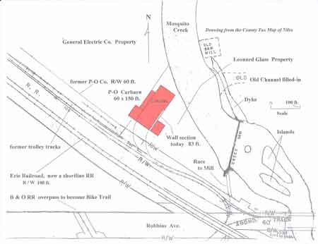
This map is based on the standard County Tax Map.

View of the Interurban streetcar barns and Heaton’s dam across the Mosquito Creek

At the car barns, the 'Limited' cars were

The Niles Car & Manufacturing Company buildings built in 1901, are still in use by the Cleveland Steel Container Corporation on Mahoning Avenue at Erie Street.

Mr. C. E. Rose, secretary and treasurer of Niles Car & Manufacturing Co. at his desk in the company office about 1912.

The interurban car, "The Northern" at the Niles station streetcar barns.
